
Finca rústica en BENAUDALLA, Granada
BENAUDALLA, Granada
Estado: Subasta abierta
Valoración
9440 €
Puja mínima
944 €
- Depósito
- 472 €
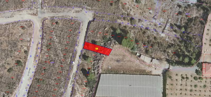
- Ref. catastral
- 4767341VF5746F0001OD
- Cargas conocidas
- 0€
- Tipo de derecho
- pleno_dominio
- Fin de subasta
- 11 may 2026
URBANA: PARCELA Nº 18 DE LA MANZANA Nº 8. PARCELA DE SUELO URBANIZABLE EN EJECUCION PERTENECIENTE AL PLAN PARCIAL SECTOR P.P.1 'LAS CAÑADAS' DE VELEZ DE BENAUDALLA, DE FORMA IRREGULAR Y DE USO RESIDENCIAL ADOSADA, CON UNA SUPERFICIE DE 211,83 METROS CUADRADOS, QUE LINDA POR EL NORTE, CON PARCELA 19 DE LA MANZANA 8; SUR, CON PARCELA 17 DE LA MANZANA 8; ESTE, CON SUELO NO URBANIZABLE; Y OESTE, CON VIAL IV. TIENE UNA EDIFICABILIDAD MAXIMA DE 120 METROS CUADRADOS.